返礼品について
敷地内に生成している竹を特殊な機械を使って粉状にし、こちらも栽培期間中農薬不使用の米糠と混ぜて自家発酵させて作った肥料を、冬の間に1本1本丁寧に樹の根元に撒いていくことで、濃厚な味を実現しました。
特定サイズ以上の粒「のみ」による「プレミアム大粒」を是非お試しください。
■生産者の声
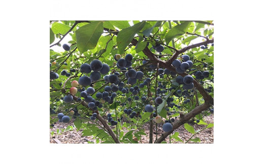
野うさぎやキジ、ウグイス、ホトトギスなどが生息する雑木林に囲まれた広大な敷地の中で、800本のブルーベリーを栽培しています。
くぬぎ野ふぁーむでは、栽培期間中、農薬・化学肥料を一切使っていません。大手製薬会社出身で薬学博士の農園主が研究を重ね開発し、大切に育てました。
敷地内に生えている竹を特殊な機械を使って粉状にし、米糠と混ぜて自家発酵させて作った肥料を、冬の間に1本1本丁寧に樹の根元に撒いていきます。
こうして手塩にかけたブルーベリーは、大粒で濃厚な味の実をつけてくれます。
■注意事項/その他
※到着後はすぐに冷蔵保存し、できるだけ早くお召し上がりください。
※長期間保存する場合は、冷凍保存をお勧めします。
※画像はイメージです。
※離島への配送不可
【原産地】
土浦市
【保存方法】
冷蔵
- 返礼品レビュー
- 自治体への応援メッセージ